本日は皆さんをパダンバイへご案内しました。
3日目最終日のM一家、先週も潜っていたスラバヤのK夫妻、そして、ジャカルタのA一家です。
三組とも、サヌールの某ホテルに滞在という偶然にびっくり(各自手配)。
やっと朝から晴れて気持ちよい朝でした。
本日のパダンバイ、海況よしです。
波なし、流れなし、透明度10m-12m、水温28℃。
心配していた透明度が回復中でよかった。
それにしても、水温が例年に比べ温かすぎる。
ファンダイブ組はベテランダイバー揃いなので、店主はA一家の体験ダイビングを担当させて頂きました。
ただ、一緒に潜るものの両親共々ダイバーで、目的は息子S君(中1・12歳)の体験です。

昔は100本ぐらい潜っていたという母Tさんですが、育児に入りブランクダイバーに。
9年ぶりのダイビングだったそうですが、全く問題なしでした。

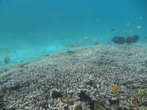
サンゴもりもり。ヘコアユの群れ、ヘラヤガラ、ニモなどを観察。

A一家で記念撮影

お父さんより、『かなりのびびり』と事前情報があったのですが、びびりながらも7.3mまで行けちゃいました。
S君、頑張りました。

2本目、ファンダイブ組、行ってらっしゃい!

2本目もA一家を担当させて頂きました。
これガイドではありません、お父さんA氏。
去年はマンボウをたくさん撮りましたね!

あーーーー、オジサンの幼魚!!
かわいいぃぃぃ、小さいぃぃぃ、けどオジサンだ。

南国ぽいフエヤッコダイ

クマノミ

お父さんはジャカルタ単身赴任、お母さんとS君が東京よりいらっしゃいました。
家族で過ごすバリ島夏休み。
ゆっくりしていってくださいね。
2本目のS君、寒さを感じず長くダイビングできました。

エアが残っていたので、13分間、ちょっと深場へA氏に探しモノに付き合ってもらいました。
ハナイカもホウセキカサゴも行方不明に・・・残念。
ツマリテングハギやキツネフエフキ&カスミアジの共同ハンティングを観察。

店主は2ダイブのA一家とサヌールへ。
途中、ゴアラワ付近で独立記念行進行事の準備が始まっていました。
これまさか45km行進じゃないか??
まだ車は通れましたが、3ダイブのファンダイブ組は間違いなく大渋滞にぶつかることでしょう。
年に一度の貴重な場面でもありますが・・・。
M一家、3日間ありがとうございました。
A一家、家族で潜れてよかった~。
K夫妻、また来週!!
皆様、ありがとうございました。

