(8月23日)
Rさんのダイビング講習2日目はパダンバイへ。
あまり期待しないで行ったのに、海況が素晴らしい。
波なし、流れなし、透明度20m、水温28℃
先週の透明度が嘘のよう・・。

ブルーラグーンのナミちゃんにご挨拶

姿勢も中性浮力いいですよ~

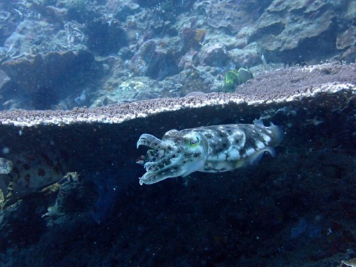
コブシメ♡

ドロップオフ頭上には群れ

ウォールが終わると天国みたいな景色。
残圧はいくら?浅くなるので浮かないように・・景色を見つつも気を配ることがいっぱい。

ゆっくり静かに寄ってください。クマノミの表情まで見えますよ~
エア切れスキルを終えてから、最後は水深18mを経験です。

沈船まで行ってみます。エア消費が速くなるので小まめにチェックしましょう。

隠れ上手なヤッコエイみっけ

腹ぺこのウミガメがずっと食べているので、何を食べているのか近くで見てみましょう。
バリ島のウミガメは静かに近づけば逃げません。
ランチの後、ダイブテーブルの使い方を勉強。2日間のダイブプロフィールを描き、どんなダイビングが良いか考えます。
文句なしのダイバー認定です。よく頑張りました。2日間海も良くラッキーでした。
2日間ありがとうございました。

